• Niedziela, 15 marca 2026

    imieniny: Klemensa, Ludwiki, Longina

Świat

Trzęsienie ziemi nawiedziło Japonię

Niedziela, 10 listopada 2013

Wstrząsy o sile 5,5 st. w skali Richtera odczuwalne były na wschodzie Japonii, w tym także w Tokio


Fiskus wykorzystuje Google Earth

Sobota, 9 listopada 2013

Brytyjskie urzędy skarbowe ścigają podatników za pomocą nowinek technologicznych


Olimpijski ogień na "spacerze" w kosmosie

Sobota, 9 listopada 2013

Pochodnia olimpijska przemieszczana była w otwartej przestrzeni kosmicznej


Rośnie bilans ofiar tajfunu

Sobota, 9 listopada 2013

Co najmniej 100 osób mogło zginąć w następstwie uderzenia Haiyan w Filipiny


Strajk pracowników sektora publicznego

Piątek, 8 listopada 2013

W Portugalii protestują m.in. urzędnicy państwowi i samorządowi, personel szpitali i szkół


ONZ otworzy furtkę do aborcji?

Piątek, 8 listopada 2013

Eksperci z C-FAM ostrzegają przed ratyfikacją Konwencji ONZ o prawach osób niepełnosprawnych


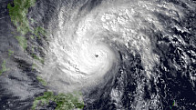
Tajfun Haiyan uderzył w Filipiny

Piątek, 8 listopada 2013

Najpotężniejszy w tym roku na świecie tajfun uderzył w środkową część archipelagu Filipin


Pediatrzy forsują eutanazję

Piątek, 8 listopada 2013

Grupka belgijskich pediatrów opowiedziała się za rozszerzeniem prawa do eutanazji na dzieci i chorych na alzheimera


Madryt pogrążony w śmieciach

Czwartek, 7 listopada 2013

Strajk, bez perspektyw rychłego zakończenia, pogrążył w śmieciach liczącą ponad 3,2 mln mieszkańców stolicę Hiszpanii


Policja usunęła pracowników telewizji

Czwartek, 7 listopada 2013

Grecka policja weszła w nocy do siedziby telewizji państwowej ERT i usunęła okupujących ją pracowników


Chaos komunikacyjny w Portugalii

Czwartek, 7 listopada 2013

Portugalskie firmy transportowe prowadzą strajk, który utrudnia komunikację w aglomeracji lizbońskiej oraz w Porto


Filipiny przygotowują się na nadejście tajfunu

Czwartek, 7 listopada 2013

Nad Filipiny nadciąga tajfun Haiyan, najpotężniejszy, jaki powstał w tym roku


Skontrolują ceny paliw

Czwartek, 7 listopada 2013

Rząd Pedra Passosa Coelho powoła do życia jednostkę kontrolującą ceny paliw na portugalskim rynku


Program inwigilacji zagrożeniem

Środa, 6 listopada 2013

"Financial Times" opisuje zagrożenia wynikające dla świata z programu inwigilacji przez Stany Zjednoczone


Kolejne strajki w Grecji

Środa, 6 listopada 2013

Pracownicy państwowi, nauczyciele i kolejarze przerwali pracę na 24 godziny